Omschrijving
Woning verkocht: Pole 13 in Terkaple
* Unieke ligging aan open vaarwater met directe verbinding naar de Friese Meren
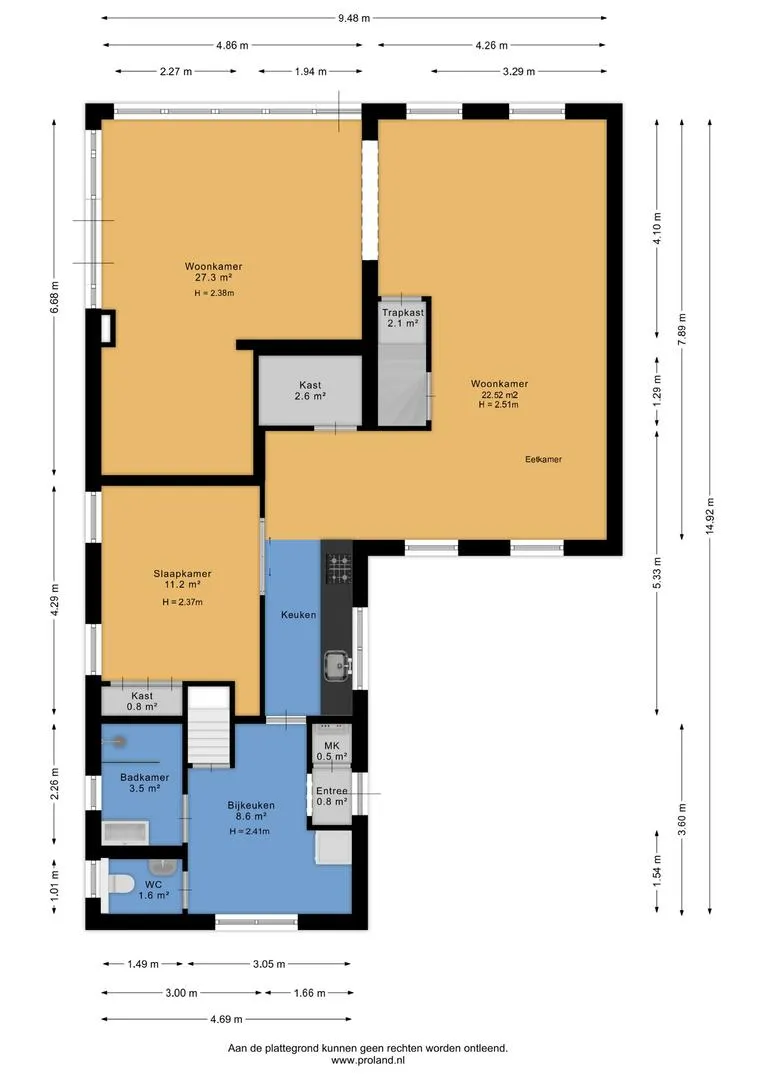
* Ruime woning met 156 m² woonoppervlak, vier slaapkamers en twee badkamers
* Sfeervolle serre met panoramisch uitzicht over het Friese landschap
* Duurzaam en energiezuinig door 14 zonnepanelen en airco (2015/2020)
* Besloten tuin met loopvlonder, vlonderterras, berging en houtopslag
Wat een sfeervol plekje in Terkaple, dichtbij Joure, gelegen aan vaarwater en met een directe verbinding naar de Friese Meren. Met maar liefst vier slaapkamers en twee badkamers biedt deze woning verrassend veel ruimte.
Door de jaren heen is het huis gemoderniseerd en uitgebreid, met onder andere een lichte serre die een prachtig panoramisch uitzicht biedt over het Friese landschap. De woonkamer ademt warmte en charme met een balkenplafond, houtkachel en airco, terwijl de sfeervolle besloten tuin met een loopvlonder langs de gehele zijkant van het huis, een vlonderterras, berging en houtopslag een fijne buitenruimte creëert. In de zomer stap je vanuit je eigen tuin zó in de boot en vaar je richting de Terkaplester Poelen of het Sneekermeer. Dankzij duurzame aanpassingen, zoals 14 zonnepanelen en recente verbeteringen, woon je hier niet alleen sfeervol, maar ook comfortabel en energiezuinig. Een unieke plek waar wonen en genieten moeiteloos samenkomen!
Indeling
Begane grond: (houten vloer)
– voordeur (enkel glas)
– serre met uitzicht over vaarwater en weilanden (airco)
– woonkamer met houtkachel, (hout/dubbel) en grote inloopkast
– open keuken: afzuigkap, 5 pits gaskookplaat, vaatwasser, unit 2: koelkast en combimagnetron
slaapkamer afsluitbaar met suitedeuren)
– achter-entree/hal (beton)
– meterkast: 5 groepen en 2x aardlek
– omvormer zonnepanelen
– bijkeuken met aansluiting wasmachine, (hout/dubbel/lek)
– wandcloset + fontein, (ventilatie: uitzetraam: dubbel)
– badkamer: designradiator, wastafel in meubel, inloopdouche, (ventilatie: uitzetraam: enkel)
– trapopgang verdieping (boven woonhuis):
Verdieping: boven keuken/slaapkamer: (houten vloer):
– overloop met berging in knieschot en inloopkast
– badkamer vv dakkapel: wastafel, vaste kast met cv-ketel, inloopdouche en ligbad, (hout/dubbel)
– slaapkamer 2 vv dakkapel (hout/dubbel) en berging in knieschot en stalen rond raam (enkel),
Trapopgang boven woonhuis: houten vloer:
– overloop
– slaapkamer 3 vv dakkapel (kunststof /triple)
– slaapkamer 4 vv dakkapel (kunststof/triple).
Bijzonderheden:
– betonnen bodemafsluiting met vloerisolatie (droog)
– airco verwarming en koeling (2024)
– keuken (2009 en 2021), vaatwasser (2015), magnetron/oven (2022)
– badkamer en wc begane grond (2020)
– dakkapellen renovatie kunststof kozijnen en triple glas (2024)
– de cv ketel is geplaatst in 2020 (badkamer boven achter het luik)
– zijgevel huis geïsoleerd met folie, isolatiedekens en daarop red ceder planken
– bouwjaar serre 2015
– schilderwerk buitenzijde (2023)
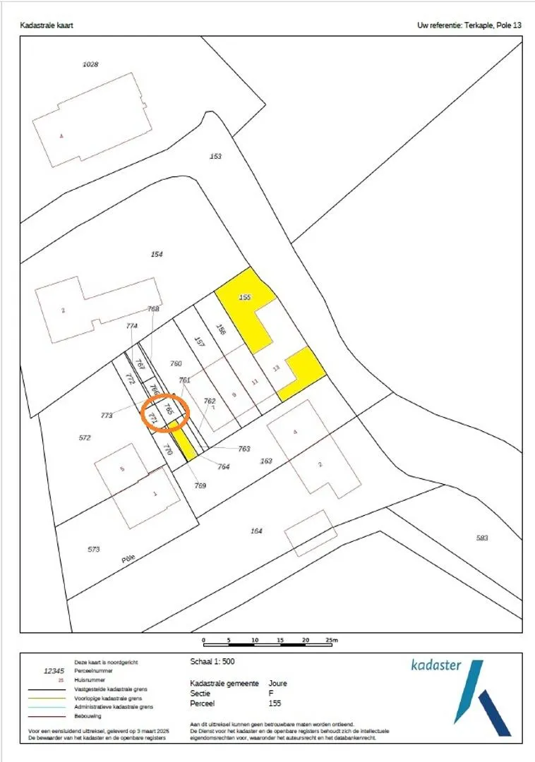
– erfdienstbaarheid van pad: ten behoeve van 7, 9, 11 en 13 ten laste van 7, 9 en 11 (kadastraal bekend: Joure/F/771 en 765)



























































